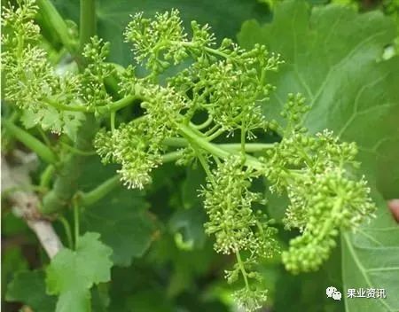
现在各地葡萄都已经陆陆续续进入各项农事操作中,有人忙得不亦乐乎,有人忙得不可开交,两个字“苦”“累”,果儿提醒大家种葡萄虽苦虽累,但也要注意休息。果粒巨细不一,果形不整齐,实在是难等大雅之堂,也绝对卖不出好价钱。小编认为,最主要的原因就是在疏花疏果时,没有做到“该出手时就出手”。疏花要“心狠”先有花后有果,所以我们要想控制葡萄挂果量,就还得从疏花做起。首先是疏花序,葡友们可以把“壮2中1弱不留”的
现在各地葡萄都已经陆陆续续进入各项农事操作中,有人忙得不亦乐乎,有人忙得不可开交,两个字“苦”“累”,果儿提醒大家种葡萄虽苦虽累,但也要注意休息。
果粒巨细不一,果形不整齐,实在是难等大雅之堂,也绝对卖不出好价钱。小编认为,最主要的原因就是在疏花疏果时,没有做到“该出手时就出手”。先有花后有果,所以我们要想控制葡萄挂果量,就还得从疏花做起。
首先是疏花序,葡友们可以把“壮2中1弱不留”的原则作为疏花时的参考。也就是在强壮的结果枝保留2穗,在中庸结果枝上保留1穗,弱结果枝尽量不留花序。我们在这里给大家介绍省时省工的“捋花序法”。实践证明,采用这种方法疏花的平均用时仅3秒/穗。“捋花序法”的操作很简单,提前定好穗尖长度,然后直接用手捋掉上部多余的分枝就可以了。不同葡萄品种留穗尖的长度也不同,建议夏黑、早夏无核、8611等品种留穗尖7厘米;巨峰、户太8号、藤稔、辽峰等大粒品种留穗尖5厘米;无核处理的阳光玫瑰留穗尖6~7厘米,以上葡萄品种都是在见花2~3天时开始疏花。而红地球、圣诞玫瑰则在谢花时留穗尖12厘米,红宝石无核在谢花时留穗尖14厘米。因为这些葡萄品种果穗上的果粒着生紧密,没有空隙,让很多葡友无从下手。而疏花具有提高坐果的作用,疏花时间越早果穗坐果越紧。★因此,如果品种本身坐果多,可适当晚些或在谢花后再进行整花序。留花序的长度一定要适度,这样果穗才会松紧适中。经过疏花之后,葡萄花序中坐住的果粒数一般就减少了很多,但是为了使果穗整齐、果粒硕大,我们还需要疏果,将过多的果粒除去。第一次疏果:最好是在果实长到绿豆大小的时候进行。方法是疏去靠主穗轴的内层果和小支穗的外层果,使果穗内堂通透,外层紧致,并将过长、过密的分枝剪短或者直接剃掉,剪留单层果粒,将扭曲的穗尖或大小粒等用疏果剪修整,使果穗呈柱状。这是第一次疏果。第二次疏果:在果粒长到黄豆粒大小的时候进行。此时的疏果标准有两种,第一种是将一层花上的20来个小分支分成4组,一组5个分支,每组65-70粒左右,最上面的5个小分支留5粒,接下来的三组小分支依次留4、3、2粒;第二种是对于只有13~15个小分支的精品果,保留50~55粒左右。如因保果多、疏果晚等造成果粒着生紧密、毫无空隙、无法下剪的情况,推荐采用“钻果龙”疏果法。“钻果龙”疏果法是从果穗尖端,沿穗轴从下至上“钻”上来,一般“钻”2列,果穗已经松散,然后再简单剃掉有伤口或较密部位的个别果粒,这样既省工省时,也能维持良好的穗形。其实给葡友们带来疏果压力的主要是那些本身需要保花保果的品种,比方说巨峰、户太8号、夏黑、阳光玫瑰等,这些品种经过保果处理后,坐果率是提高了,但是也增加了疏果难度。所以说,适时、适量保果是解决大量疏果用工的关键环节。建议大家在保果处理时,根据花穗开花时间的不同,分批分次进行。
如果是无核处理,最好在盛花期后进行,保果处理则在谢花后3~4天,已有少量果粒脱落的时候处理为宜。另外,保果药剂的浓度不宜过高,并且要在保果处理前后加大肥水的供应。对于那些坐果率本来就高,或者通过保果处理提高了坐果率的品种,我们就没有必要在花前摘心再提高坐果率了,可以一直到生理落果之后再进行摘心,这样就适当降低了坐果量,有利于我们疏果。
最后,像红宝石无核、早熟红无核等坐果率极高的品种,我们也可以采取花期浇水的措施来促进落花落蕾,减少疏果工作量。