梨小食心虫的危害及综合防治!

作者:果树种植新技术 2024/12/18 10:59:21
梨小食心虫,属鳞翅目小卷叶蛾科。又称东方蛀果蛾、桃折心虫、桃折梢虫,简称“梨小”,俗称“打梢虫”。是最常见的一种食心虫,以危害桃、梨为主,还可危害杏、李、樱桃、苹果、杨梅、枇杷等多种果树,以幼虫蛀食危害果树新梢和果实,导致顶梢枯萎、果实腐烂脱落,严重影响果树生长和果品产量。一、危害特点(1)新梢受害。春夏季发生的幼虫主要蛀食嫩梢,蛀入孔先出现流胶,并有虫粪排出,而后新梢顶端开始萎蔫下垂,后期干枯折


图片


梨小食心虫,属鳞翅目小卷叶蛾科。又称东方蛀果蛾、桃折心虫、桃折梢虫,简称“梨小”,俗称“打梢虫”。是最常见的一种食心虫,以危害桃、梨为主,还可危害杏、李、樱桃、苹果、杨梅、枇杷等多种果树,以幼虫蛀食危害果树新梢和果实,导致顶梢枯萎、果实腐烂脱落,严重影响果树生长和果品产量。


一、危害特点


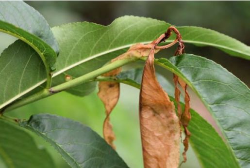
(1)新梢受害。春夏季发生的幼虫主要蛀食嫩梢,蛀入孔先出现流胶,并有虫粪排出,而后新梢顶端开始萎蔫下垂,后期干枯折断,俗称“折梢”(图1、图2)。幼虫在新梢顶端2~3片嫩叶基部叶腋处蛀入新梢髓部危害,由上向下蛀食2~3节,每头幼虫可食害3~4个新梢,有转梢危害特性,严重时许多新梢被害。

图片

图1 梨小食心虫危害梨树嫩梢状

图片

图2 梨小食心虫危害桃树嫩梢状

(2)果实受害。夏秋季发生的幼虫主要蛀食果实。幼虫危害果实(图3)多从萼洼、梗洼和果与果及叶果相贴处蛀入,蛀果孔很小,多不明显,周围微凹陷。早期被害果面有较细虫粪排出,周围易变黑。晚期被害果外多无虫粪,后期幼虫蛀果后直达果核周围危害,将虫粪排于其中,形成“豆沙馅”,不能食用。被害果易脱落。幼虫脱果后,脱果孔处可导致果实腐烂。危害梨果时,在高温环境下蛀孔周围常变黑腐烂并逐渐扩大,俗称“黑膏药”。果面脱果孔较大。

图片

图3 梨小食心虫危害梨果实状


二、发生规律


梨小食心虫在北方果区1年发生3~4代、黄淮海地区4~6代、长三角地区1年发生5代、华南6~7代。以老熟幼虫在梨树和桃树的树皮裂缝中、根颈部、剪锯口及土壤中结茧越冬。翌年3月下旬至4月上中旬越冬幼虫开始化蛹,4月下旬至5月上旬达羽化盛期,出现成虫高峰。第一代成虫发生期在5月底初见,盛期为6月上旬。第二代成虫在7月中旬至8月下旬出现,8月下旬是梨小食心虫危害梨果最重的时期。第三代成虫约在8月中旬至9月下旬出现,幼虫危害一段时间后滞育越冬。第一代、第二代幼虫主要危害桃、杏、李、樱桃等果树的新梢、根蘖、砧木及幼苗,特别是对桃树的趋性很强,桃梢受害最重,7月以后的第三代、第四代幼虫主要危害果实。不同地区各代发生时间早晚不同,且后几代世代重叠严重。

一般夏季卵期3~4天,幼虫期10天左右,蛹期7天左右,成虫寿命7天左右。


成虫多于白天静伏,黄昏后活动交配产卵,卵产于新梢的中上部叶片背面,危害果实的产于果实表面,仁果类多产于萼洼和两果接缝处。


在北方果区,梨小食心虫成虫对寄主果树叶片的产卵偏好由高至低依次为桃、樱桃、苹果、李、梨、海棠、杏,所以桃与苹果、梨树混栽时,前两代幼虫主要危害桃梢,后面几代幼虫主要危害桃、梨、苹果的果实。


成虫对糖醋液、黑光灯及烂果有趋性。幼虫从新梢顶端蛀入后向下蛀食,蛀达较老化的木质部后开始转梢。危害果实时,多从胴部蛀入,直达果心处危害,老熟后咬一虫道直通果外,果面虫孔较大,叫做脱果孔。老熟幼虫多在树干粗皮裂缝内或树下土壤中化蛹。


梨、桃混栽或相邻的果园,发生较重,反之较轻。多雨水、湿度大的季节和年份,有利于成虫繁殖,发生量大,危害也重。果肉松软,易于幼虫蛀食,往往在后期特别是接近成熟期,虫量多,危害加重。采用套袋技术的,在成熟期摘袋后,梨小食心虫产卵于果实表面,导致在贮运过程中危害严重,油桃的受害程度重于毛桃。


三、综合防治


(1)农业防治。新建园时尽可能避免桃、梨及其他果树混栽或栽植过近。


早春发芽前,刮除老树皮,刮下的树皮集中烧毁,同时清扫果园中的枯枝落叶,集中烧掉,或深埋于树下,消灭越冬幼虫。早春翻挖树盘,将在土中越冬的幼虫翻在地表,让鸟雀啄食或被霜雪低温冻伤。


及时拾取落地果实,集中深埋,切忌堆积在树下。


4—6月注意及时剪除桃、李、杏树上的被害虫果,剪除被害桃、梨虫梢,立即集中深埋,消灭1、2代幼虫。


幼果期,及时套袋阻隔梨小食心虫产卵。


(2)人工防治。进入8月后,在树干上捆绑稻草、麻袋片等,诱集幼虫潜伏,落叶后解下,集中烧毁,杀灭越冬幼虫。5—6月,及时剪除虫梢(特别是刚萎蔫的虫梢),集中深埋,消灭蛀梢幼虫,该措施大面积同时进行防治效果较好。


(3)诱杀成虫。利用成虫对糖醋液及黑光灯的趋性,在果园内设置糖醋液盆及黑光灯,诱杀成虫。糖醋液的配制方法为糖50克、酒50克、醋100克、水800克,混合搅拌均匀后即可,每亩悬挂5~6盆,每天上午清除成虫。


也可利用梨小性诱剂诱杀雄成虫,在桃树开花前,将梨小食心虫信息素迷向丝悬挂于果树西面或南面树冠的1/3处,每亩33根。迷向作用可以持续发挥6个月,在一个果树生产季内无须更换。采用该技术的果园面积越大,效果越好,最小的使用面积应不低于30亩。


利用诱蛾数量进行测报时,当诱集到的成虫数量连续增加,且累计诱蛾量超过历年平均诱蛾量的16%时,表明已进入成虫发生初盛期;累计诱蛾量超过历年平均诱蛾量的50%时,表明已进入成虫盛发期。越冬代成虫盛发期后推5~6天,即为产卵盛期,产卵盛期后推4~5天即为卵孵化高峰期。2~4代成虫盛发期后推4~5天,即为产卵盛期,产卵盛期后推3~4天即为卵孵化高峰期。


(4)药剂防治。关键是在各代卵发生高峰期至卵孵化前喷药。防治果实受害主要从第3代开始喷药,结合诱杀成虫进行测报。喷药时间,根据预测预报结果进行判定。每代需喷药1~2次,间隔7天左右。也可通过调查卵果率来决定喷药时间,当卵果率在0.5%~1%时,可选用5%(质量分数,后同)杀虫双水剂200~300倍液,或25%灭幼脲悬浮剂750~1500倍液、5%氟啶脲乳油1000~2000倍液、5%氟铃脲乳油1000~2000倍液、20%抑食肼可湿性粉剂1000倍液、5%氟虫脲乳油800~1000倍液等喷雾防治。


在卵孵盛期,幼虫蛀果前,可选用以下药剂:4.5%高效氯氰菊酯乳油或水乳剂1500~2000倍液,或2.5%高效氯氟氰菊酯乳油或水乳剂1500~2000倍液、20%甲氰菊酯乳油1500~2000倍液、10%联苯菊酯乳油3000~4000倍液、35%氯虫苯甲酰胺水分散粒剂8000倍液、1%甲维盐乳油2500倍液、1.8%阿维菌素乳油2000~4000倍液、8000IU/毫克苏云金杆菌可湿性粉剂400~500倍液等均匀喷雾,虫口数量大时,间隔15天左右再喷1次,连喷喷2~3次为宜。


为提高药效,药液中加入柔水通1000倍液,或有机硅3000~5000倍液。


(5)其他措施。新建果园时,避免桃、李、杏、梨、苹果等不同果树混栽。根据害虫发生情况释放赤眼蜂进行生物防治。果实尽量套袋,阻止梨小危害果实。


文章作者王长波,张有民,王迪轩,来源果农之友杂志,仅供参考!

相关推荐