摩尔多瓦葡萄的高产栽培技术

作者:果树种植新技术 2024/7/1 15:05:28
摩尔多瓦是欧美杂交种,果粒中等大小。该品种树势强旺,新梢和叶片密生灰色茸毛,枝条粗壮。自然果穗圆锥形,平均穗质量650克,果粒着生紧密、整齐、上色一致,椭圆形,平均粒质量9克,最大粒质量13.5克,果皮紫黑色,着色非常整齐一致,非常漂亮,果粉厚。果肉柔软多汁。果肉与种子易分离,每果粒含种子1~3粒。果实先转色后增甜,晚熟品种,极耐贮运,品质上等,适宜酿酒,亦可生食。在山东费县成熟期9月5日左右。挂


图片


摩尔多瓦是欧美杂交种,果粒中等大小。该品种树势强旺,新梢和叶片密生灰色茸毛,枝条粗壮。自然果穗圆锥形,平均穗质量650克,果粒着生紧密、整齐、上色一致,椭圆形,平均粒质量9克,最大粒质量13.5克,果皮紫黑色,着色非常整齐一致,非常漂亮,果粉厚。果肉柔软多汁。果肉与种子易分离,每果粒含种子1~3粒。果实先转色后增甜,晚熟品种,极耐贮运,品质上等,适宜酿酒,亦可生食。在山东费县成熟期9月5日左右。挂果期长达30天。


本文根据近几年的栽培经验,将摩尔多瓦葡萄大田栽培管理技术简介如下。


1

输整形修剪

>>>>

定植当年整形修剪


抹芽 定植当年的3月下旬,待主枝萌芽后、能区分芽好坏时,及时抹芽,留强去弱,每个主枝只留1个主芽。


除卷须 新梢生长到6叶并开始有卷须发生时,应及时摘除卷须。

摘心整形 当幼苗新梢长到8~10叶时,开始第1次摘心。摘心后夏芽副梢很快萌芽,除顶端留一个副梢延长外,其余的副梢留2叶后反复摘心。培养1条主蔓,生长过程中要及时引蔓,使新梢直立生长。主蔓顶端副梢生长到8叶时,进行第2次摘心,继续留顶端一个副梢生长,其余副梢留2叶后反复摘心。全年须进行2~3次摘心整形,于8月下旬对每个生长点全部进行摘心,然后喷多效唑600倍液,促使枝蔓成熟和花芽分化。


冬季修剪 篱架离地0.6米左右定干,其余副梢全部剪除。

>>>>

定植第二年的整形修剪


定植第2年的3月下旬萌芽后,将顶端2个新梢沿反方向绑在铁丝上,留2~3个健壮新梢挂果。当顶端2个新梢生长到6~8叶时摘心。新萌发的副梢留顶端2个,生长到6~8叶时摘心,留作翌年的结果母枝。其余副梢留1~2叶后反复摘心,冬季把结果母枝留6~8芽后短剪,并水平绑在底层铁丝上。其他副梢全部疏除,形成双臂树形。

>>>>

定植第三年的整形修剪


结果树的冬季修剪 冬季修剪时期落叶后以11月下旬至翌年2月中旬为最佳。根据每亩产量1800~2000千克标准计算,每亩需留冬芽6500个左右。选择营养枝作结果母枝,以单枝更新为主,双枝更新为辅;短梢修剪为主,中长梢修剪为辅。每年在生长季节,选结果母枝基部一个新梢疏去花穗,作为营养枝培养。冬季在营养枝前面已结过果的新梢从基部剪除,营养枝采用中短梢修剪,作为翌年的结果母枝。


结果树的夏季管理 (1)抹芽、定梢。春季萌芽时抹去副芽、不定芽,每个芽眼只留1个强壮的主芽。当新梢长到10~15厘米时定梢,每亩留梢4500个左右,其中留结果枝3500个、营养枝1000个。(2)摘心与副梢处理。5月上中旬在结果枝的花穗以上,留8片左右叶轻摘心,摘心后留顶端1个副梢,副梢留2叶后反复摘心,其余副梢随时抹除。始花期对全园进行第2次摘心,力求开花期间无生长点、营养生长少,树体营养集中到花穗开花上。(3)营养枝生长到6~8叶时立即轻摘心。摘心后留顶端1个副梢作延长枝,留1~2叶后反复摘心,其余副梢也留2叶后反复摘心。幼果生长期及时摘心控梢,硬核期全园统一放梢;果实进入着色期,应对全园新梢进行摘心控梢,并把黄化老叶摘除。


2

花果管理

>>>>

产量指标


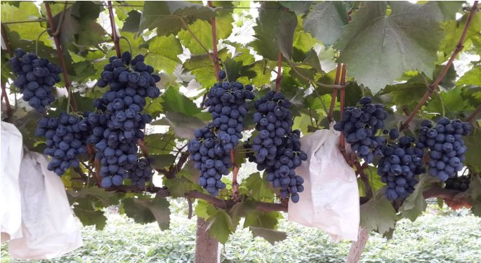
为确保果实粒大饱满、品质优良、着色均匀、适时成熟、树势健壮、抗病力强,为翌年生长结果作好准备,一般每亩产量控制在2000千克左右。采用双十字V形篱架,行距2.5~2.8米,株距1米,每亩栽220~270株,每株产量控制在8~9千克,最终留果不超过20穗(图1)。如超负荷结果,将使果实变小、品质下降、着色不良、成熟延迟、树势衰弱、抗病力下降,影响翌年产量。因此,必须疏花疏果,剪除过多的果穗。


图片

图1 摩尔多瓦丰产状

>>>>

适时保果处理


初花期和盛花期喷施一遍花果元素,促进坐果,在大果粒如花生米大,小果粒如黄豆大时用果实膨大剂1克对水10千克,见花第8天花序浸渍或微喷。

>>>>

疏花穗


当新梢出现花穗后,强壮枝留1穗(特别壮旺时可留2穗),中庸结果枝留1穗,弱枝不留穗,基部新梢作营养枝培养,及时疏去其花穗。保留的花穗数可比最终的留穗数多20%。

>>>>

花穗整形


始花前5~7天,疏去副穗和主穗基部柄长的支轴1~3个。始花时除去穗长的1/4~1/3,留下14~18个支轴。

>>>>

疏果


花后5~7天疏果。一般每亩最终留果穗3000~3500穗,先疏去挂果稀疏的果穗和病果穗,再根据产量指标,疏去过多的果穗。然后进行疏粒,一般每穗留果50~70粒。将果顶朝里、圆形柄细、畸形、有病、有伤、过密及小果粒疏去。采用宝塔式疏果法,分层疏果粒,留下分布均匀、椭圆形、大小一致的大果粒,最后套袋。


3

田间肥水管理

>>>>

水分管理


干旱季节如土壤干燥应及时灌水,保持土壤一定湿度,预防裂果。在开花期和成熟期如土壤不是太干(土壤表层发白),应避免灌水;雨季及时排水。

>>>>

幼树的施肥


小苗新梢长到10厘米时开始追肥,以后每隔10~15天追肥1次。采取薄肥勤施方法,以1%~3%尿素或8%~10%人粪尿等速效氮肥为主;8月后以磷、钾肥为主,采用3%复合肥或氯化钾浇施;9月后停止追肥;10月中下旬施基肥,每亩施有机肥2500~3000千克。

>>>>

结果树的施肥


根据土壤肥力和树势,每年施肥4~6次,如树势健壮、肥力充足,催芽肥可不施。每亩用肥量:有机肥3000~3500千克、复合肥32千克、过磷酸钙60千克、硫酸钾或氯化钾(含低氯)21千克。


催芽肥 早春4月中下旬萌芽时施入,以速效氮肥为主,每亩浇施10千克左右,促使芽眼萌发整齐。


花后肥(壮果肥) 可在盛花后期追施复合肥20~40千克,分2~3次施入,隔10天施1次,或土面覆盖有机肥2000千克,促使幼果膨大。为提高品质,应禁止施用纯氮肥,如尿素、碳酸氢铵等。


催熟肥 硬核结束,浆果着色初期,每亩浇施硫酸钾或氯化钾(低氯)20千克,促使果实最后膨大、提早着色、增加糖度。


4

果实套袋


疏果后应及早套袋,但要避开雨后的高温天气,套袋时间不宜过晚。套袋前全园喷施一遍杀菌剂。为避免高温伤害,摘袋时不要将纸袋一次性摘除,先把袋底打开,逐渐将袋去除。


5

病虫害防治


贯彻“预防为主、综合防治”的植保方针。以农业防治为基础,提倡生物防治,按病虫害发生规律科学使用化学防治技术。


秋冬季和初春及时清理果园中的病(僵)果、病虫枝条、病叶等,减少果园初侵染菌源和虫源。采用果实套袋措施,合理间作,适当稀植。采用滴灌技术,加强夏季管理,避免树冠郁闭。


注意防治炭疽病、黑痘病、霜霉病、白腐病、灰霉病、白粉病、褐斑病、叶斑病、葡萄裂果病、葡萄透翅蛾、蚜虫、葡萄虎天牛等病虫害。


6

采收


当浆果已充分发育成熟,并已充分表现出该品种固有色泽、果粒大小和风味时采收,由于摩尔多瓦成熟期一致且挂果期特长,可根据需要采摘。


相关推荐