警告:果园里这几种草坚决不能留!

作者:果业资讯 2024/7/9 10:34:06
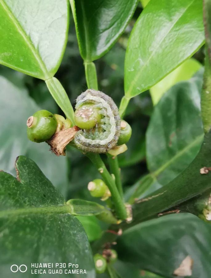
近几年果园生草被炒得很火,据说果园生草不仅能让土壤留住水分,还能提高土壤有机质,增加土壤透气性。果园生草,的确是有一些好处,但是方法不当,一味迷信果园生草,很可能损失惨重。一、果园生草,毁果园一位南宁武鸣的果农,种了300亩沃柑,这是种了沃柑第三年,本来今年是挂果盛期,结果果园不仅柑橘果实寥寥,果园杂草满地,草上面到处附着斜纹夜蛾,一脚踩下去能踩到十几只虫!

近几年果园生草被炒得很火,据说果园生草不仅能让土壤留住水分,还能提高土壤有机质,增加土壤透气性

图片
果园生草,的确是有一些好处,但是方法不当,一味迷信果园生草,很可能损失惨重。
一、果园生草,毁果园
一位南宁武鸣的果农,种了300亩沃柑,这是种了沃柑第三年,本来今年是挂果盛期,结果果园不仅柑橘果实寥寥,果园杂草满地,草上面到处附着斜纹夜蛾,一脚踩下去能踩到十几只虫!                           
图片
据这位种植户说,他听到很多人说果园生草好,就去尝试整个果园都生草,没想到草越长越高,虫越生越多
图片
不仅如此,第三年本是挂果期,树上却没有多少果,原本以为能收获满满的一年,却大失所望,结果非常少,虫子还特别多,损失了不少钱!
二、果园生草不当的隐患
1、杂草过高,容易滋生病虫害。果园中的草,无论是有益的还有害的,都会为病虫提供栖息场所。特别是杂草过高的情况,造成果园阳光不透、空气不畅,病害(灰霉病等)、虫害(蚜虫、叶蝉、斜纹夜蛾等)更容易加重病虫害的发生
2、田间湿度过大,果树青苔严重,同时一些厌氧有害细菌滋生,不利于田间管理。
3、杂草中容易隐藏毒虫、毒蛇,影响正常的田间管理。
图片
4、杂草跟作物争水、争肥、争气、争光和影响果树授粉,有的草还会抑制果树生长,造成施肥成本加大!
5、春季杂草如果不加清理,地温回升就慢一些,影响作物根系生长。
当然,果园合理生草可以增加土壤通透性、增加土壤有机质,可保水、保温、保肥、保土、平衡酸碱,所以生草不是不可以,而是不能生恶草!而且,生草也不是不除草!
划重点!
果园生草绝不能生恶性草
生草有很多负面影响,上面也提到了一些。
良性草也可能变恶性草
图片
恶性草实际跟不同的作物也有关,有些良性草在不同作物中造成的影响不同,如益母草在柚子中是良性草,而在脐橙中是恶性草。
因为柚子树势高,定干距离地面有1米以上。而脐橙定干30-40公分,因此益母草在脐橙中是恶性草。


恶性杂草零容忍
恶性杂草零容忍,恶草绝不等结籽。
比如小飞蓬和牛筋草,无论是人工除草还是化学除草,一定要在结籽前除干净。否则恶性草会变成数不清的恶性草。
恶草包括牛筋草、香附子、节节草、小飞蓬、鬼针草、马齿苋、苋草、藜、苍耳、旋花科杂草、薇甘菊、葎草等……
图片
三、掌握杂草特性,除草更轻松
恶性杂草有特性,抓住弱点更轻松。
牛筋草:如牛筋草在初次用药的时候,低浓度就能除掉,目前用草铵膦除牛筋草。
小飞蓬:再如小飞蓬在30公分以下一定要除掉,这时候效果最好,草甘膦400-500倍都能除去。但是等长得更大,除草难度更大。
竹节藤:如竹节藤,生长性强,不利于作物根系呼吸,该草要在叶子没有变成褐色的时候用除草剂,效果较好。
野珍珠:野珍珠(龙葵),结籽较快,种子多,易分生。在还没有横向增结的时候、还是直苗的时候就人工拔出,并且人工密切巡查。
荆棘:荆棘,越挖越多,刺丛生,可砍断杂草,涂上草甘膦,用黑色薄膜盖上,并且用石头或泥土来压住。
果园生草三不留原则:恶性杂草不留、容易感染虫害的杂草不留、对人体有害的杂草不留。
图片
四、生草不是不除草
很多人的观念里,生草就是常年不除草,常年不除草,草和树木会争夺阳光和水分,不利于果实生长,所以要除草抑制草的生长。除草后,把草覆盖在地面。
生草的目的是增强土壤有机质,但是如果你不除草,它永远和果树争抢营养。
土壤的熟化改良过程需要生物和动物的死亡腐化过程,这个过程很慢,通过人为的除草、割草,这个过程就会缩短,但如果你不除草,草一年就长一次,死亡一次。

而如果我们除草,可以长多次,那么就对土壤增加有机质非常好。
一定要注意:
超过30公分的草,一定要割掉!
恶草一定要清除!
定期草上也要喷一些杀虫剂!
五、果园应该生什么草
果园都可以因地制宜地进行生草,但是为了避免过多的跟果树争水、争肥,要在果树行间生草,树下除草。
图片
种植草种也有讲究,一般选用耐阴的豆科草,如三叶草、草木樨、毛叶苕子、小冠花、紫云英、长柔毛野豌豆等,以及常见的鼠茅草、扁茎黄芪、扁蓿豆、老油菜、紫花苜蓿等牧草进行种植,这些草种一般都是固氮力强,又易分解,是生长旺盛的绿肥作物。

果园生草只是一种保证果树健康生长的一种手段,要想果园产量高,还需要良好的水肥管理才能保证优质高产,在不同时期使用不同配方的肥料,才能为果树适时提供所需的营养。(来源:植保家)

相关推荐