夏季果树这样管,省心省力又高产!

作者:果树种植新技术 2024/5/29 10:32:05
(1)继续防控枝干病害。对于枝干上腐烂病、干腐病、流胶病、轮纹病、溃疡病等可继续使用0.3%梧宁霉素200倍液或45%施纳宁200倍液或23%松酯酸铜600倍液进行喷涂。一、桃树主要防控:细菌性黑斑病、疮痂病、流胶病,蚜虫、卷叶虫、食心虫、螨类、蝽类、蚧类、蛀干类及蓟马等。另根据今春的气候特点:雨量充沛,故细菌性黑斑病、疮痂病、流胶病、鳞翅目害虫,如:食心虫类、卷叶类等,可能要偏重发生


图片


(1)继续防控枝干病害。对于枝干上腐烂病、干腐病、流胶病、轮纹病、溃疡病等可继续使用0.3%梧宁霉素200倍液或45%施纳宁200倍液或23%松酯酸铜600倍液进行喷涂。


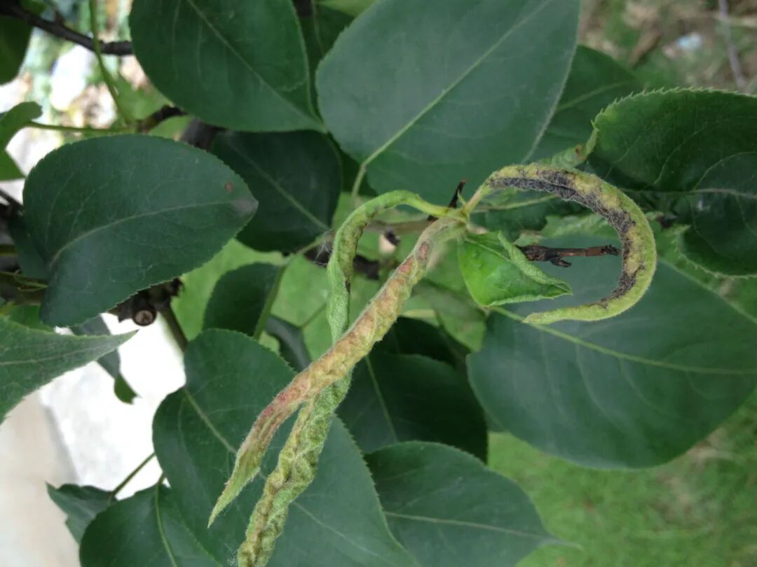
一、桃树

 

主要防控:细菌性黑斑病、疮痂病、流胶病,蚜虫、卷叶虫、食心虫、螨类、蝽类、蚧类、蛀干类及蓟马等。另根据今春的气候特点:雨量充沛,故细菌性黑斑病、疮痂病、流胶病、鳞翅目害虫,如:食心虫类、卷叶类等,可能要偏重发生。故此,需果农朋友多管齐下,采取几种措施联合应用,如:结合疏果、定果、夏剪、套袋等活茬,发现病害、虫害踪迹即时消灭处理,剪病梢、虫梢,摘除病虫果、畸形果、捉成虫、堵虫卵等农业措施,利用糖醋诱杀、挂色板等物理措施,挂迷向丝、性诱剂等生物措施等。

图片


化学药剂防控以混合药剂为主:


1、0.3%四霉素800倍液加80%大生800倍液加28%扑刻除5000倍液加2.5%劲彪2000倍液。

2、5%中生菌素1500倍液加10%苯醚甲环唑2000倍液加22%特福力4000倍液加20%灭扫利2000倍液。


3、25%溴菌腈1000倍液加5%来福灵2000倍液加46%力作6000倍液加3%甲维虱螨脲1500倍液。


4、36%喹啉戊唑醇1500倍液加50%吡蚜酮3000倍液加35%依维虫螨腈2000倍液。

图片

注:以上几种配方可轮换使用,每10-12天一次,直到套袋前。①有油桃蓟马严重地块,请将2.5%劲彪、5%来福灵或20%灭扫利换成26%噻虫高氯氟2500倍液。②桑白蚧严重的园片于5月中旬及5月底各加喷一次20%甲维吡丙醚1500倍液或99%绿颖150倍液或28%扑刻除3000倍液。③5月是桃小蠹为害盛期,为害的伤口极易发生流胶病,请喷药将枝干背面均匀着药。

图片


二、苹果树

 

主要防控轮纹病、锈病、白粉病、霉心病、蚜类、螨类、蝽类、卷叶虫类、潜叶类、毛虫类等。


结合其他农活:剪(摘)白粉病芽、锈病病叶集中焚毁,拿(捏)卷叶虫卷等。

药剂防治:


1、50%喹啉铜3000倍液加80%大生800倍液加52.25%农地乐1500倍液加28%扑刻除4000倍液。


2、0.3%梧宁霉素800倍液加30%桃小灵1500倍液加22%特福力4000倍液。


3、36%正生(喹啉戊唑醇)2000倍液加3%甲维虱螨脲1500倍液加26%噻虫高氯氟2500倍液。

图片


三、梨树


主要防控:梨黑星病、锈病、叶肿病、梨木虱、梨茎蜂、蚜虫类、螨类、蚧类、蝽类、毛虫类等。结合其他活茬剪除梨茎蜂被害梢,摘除锈病病叶集中焚毁。


喷药防控:


1、10%世高(苯醚甲环唑)4000倍液+28%扑刻除4000倍液加52.25%农地乐1500倍液。


2、40%信生(腈菌唑)4000倍液加20%爱秋(甲维吡丙醚)1500倍液加30%桃小灵1000倍液。


3、36%正生(喹啉戊唑醇)2000倍液加5%阿维菌素2000倍液加2.5%劲彪2000倍液。


可轮换使用上述配方:10天左右一次,直到套袋前,套袋前最好再加80%大生M-45或80%护庄或80%必得利700倍液。

图片


四、核桃树


主要防控:细菌性黑斑病、蚧壳虫类、毛虫类、螨类。药剂选择:


①5%中生菌素1500倍液加35%依维虫螨腈2000倍液。


②0.3%四霉素800倍液加0.5%依维菌素1500倍液。


③50%喹啉铜2000倍液加5%阿维菌素2000倍液。

图片


五、枣树


主要防控:枣锈病、枣瘿蚊、枣粘虫、绿盲蝽、红蜘蛛、枣尺蠖等。


1、于树体干周宽10厘米左右,除去老翘皮,绑胶带上涂粘虫胶,阻止绿盲蝽、蚂蚁等上树。


2、喷药:第一次时期,枣芽长5厘米左右。第二次花前:可轮换使用以下配方:


①33.5%必绿(喹啉铜)1500倍液加40%甲氰马拉1000倍液。


②0.3%四霉素600倍液加0.5%依维菌素1500倍液加2.5%劲彪2000倍液。


③50%硫悬浮剂300倍液加30%桃小灵1000倍液。

图片


六、杏树


主要防控细菌性黑斑病、杏仁蜂、梨小食心虫、桑白蚧、蝽类等。参考配方:


①0.3%梧宁霉素600倍液加5%阿维菌素2000倍液加2.5%劲彪2000倍液。


②5%中生菌素1500倍液加20%爱秋1500倍液加4.5%高效氯氰1000倍液。


③25%溴菌腈1000倍液加35%依维虫螨腈2000倍液加5%来福灵2000倍液。

图片


七、柿子树


1、开花前主要防控:柿毛虫、柿绵蚧、柿小蠹、小叶蝉等。于树干基部裹布条等杂物或周围地面摆放石块,诱集下树避藏的柿毛虫幼虫。每天于日落前解开布条或翻开石块消灭诱集的柿毛虫。用钢刷等物刷(刮)掉枝干上较为密集的柿绵蚧壳虫。


2、喷药防控:


①20%甲维吡丙醚1500倍液加30%桃小灵1500倍液。


②30%蚧溢1000倍液加4.5%高效氯氰菊酯1000倍液。


③99%绿颖(矿物油)150倍液加2.5%劲彪2000倍液。


2、花后一周喷药:防控柿蒂虫,柿圆、角斑病,黑、红点病等。


①50%喹啉铜2500倍液加52.25%农地乐1500倍液。


②0.3%梧宁霉素800倍液加40%甲氰马拉1000倍液。


③1.5%噻霉酮800倍液加30%桃小灵1000倍液。

图片


二、继续对缺素症果树的治理和管护


果树萌芽、开花、座果后各种缺素症相继表现症状,一定要在初发期进行治理,方能确保果树果品的正常生长、发育,获得果品的优质和高效。


1、缺钙症:谢花后幼果裸露期是补钙的关键时期。套袋前每7-10天叶面喷施味丹液钙1500倍液,氨基酸钙或美林钙800倍液,共2-3次。


2、缺锌症:导致果树小叶病,可喷施忠诚锌或味丹液锌1500倍液,也可喷0.3%硫酸锌液或兑水土施硫酸锌,每株0.2-0.3斤。


3、缺铁性黄叶病:近几年来有所扩展,可喷施上善铁1000倍液,也可兑水土施翠恩1号,每株20-30克。


注:为平衡营养、调节树势、恢复更快,根据今年的气候特点预防和缓解倒春寒在治是缺素症时,加上碧护5000-8000倍液(即3克一小袋兑水30-50斤)。

相关推荐