葡萄开花坐果期,做好这几点,坐果好、落果少

作者:果业资讯 2022/5/20 16:04:12
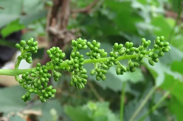
开花坐果期是指从开花到稳定结实后的这一段时期。在葡萄生长发育过程中这一段时间非常短,大多数品种在10~20天。虽然时间很短,但是对于葡萄生产来说却是关键时期,如果这一时期能够顺利度过,使葡萄能够稳定结实,那么从一定程度上可以说当年的生产已经完成了80%左右。因此,从这一点可以看出这一时期的重要性。1、本期的生理特点开花坐果期正是下一年的花芽分化期,是新梢生长旺盛期,同时也是发根(细根)、生长最活跃

开花坐果期是指从开花到稳定结实后的这一段时期。在葡萄生长发育过程中这一段时间非常短,大多数品种在10~20天。


虽然时间很短,但是对于葡萄生产来说却是关键时期,如果这一时期能够顺利度过,使葡萄能够稳定结实,那么从一定程度上可以说当年的生产已经完成了80%左右。因此,从这一点可以看出这一时期的重要性。


图片



1、本期的生理特点


开花坐果期正是下一年的花芽分化期,是新梢生长旺盛期,同时也是发根(细根)、生长最活跃的时期。新梢的生长和根系的发育,依靠贮藏养分的比率逐渐减小,依靠新制造的养分比率逐渐增大。


2、生长特点


到了开花坐果期,新梢能长到全年总生长量的1/2~3/4,一般是全年新梢生长最快的时期。


花序在开花前10天左右开始加快发育,开花时仍继续发育增大。一个花序中的花从开花到全部谢花需要7~11天,第3~5天能开70%~80%,即盛花期。开花期前后,新根数量和长度的增长开始加快。


图片


3、具体管理技术


(1)疏穗。在开花前按照一个枝条只留一个果穗的原则进行疏穗。


(2)花序整形。花序整形是葡萄生产中一项重要的技术,具有以下作用:一是提高坐果率,二是使穗形整齐,三是减少后期的疏果用工。现将常用的几种方法介绍如下。


①花序整形时间。花序整形最佳时间是在花序先端的支梗开始分离到花序进入初花期,在这一段时间都可以进行整形修剪。


如在花序先端支梗分离前进行,整形过早开花后穗形容易紊乱。在开花后整形修剪,整形过晚浪费养分降低坐果率。


②花序整形方法。第一种:留中间支梗法。整形方法:首先剪去副穗,然后剪去上边几个比较大的支梗,最后剪去穗尖(图1),只保留中间的主穗梗。适用品种:这种整形方法适用巨峰系品种有核栽培。


图片

图1 留中间支梗法


图片

图2 留穗尖法


第二种:留穗尖法。整形方法:剪去上部支梗,只保留5厘米左右的穗尖(图2)。适用品种:这种整形方法适用巨峰系品种无核栽培。


第三种:留副穗法。整形方法:直接剪去主穗保留副穗(图3)。适用品种:这种整形方法适用花序大并且坐果率高的欧亚种品种,特别是副穗长得非常好的情况。


图片

图3留副穗法


(3)利用生长抑制剂增加坐果。在葡萄开花前叶面喷施助壮素500毫克/千克,可以控制新梢的生长,促进坐果。


(4)补充硼肥。硼在树体内可以促进花粉粒的萌发,使花粉管迅速进入子房,有利于授粉受精和果实的形成。在开花前、花期可以连续叶面喷施硼肥,常喷施0.1%~0.3%(质量分数,后同)的硼砂或硼酸。


(5)药剂保果及膨大果实。对于夏黑等无核品种需要进行保果,在盛花期用25毫克/千克的赤霉素浸蘸花序,在10天后再用50毫克/千克的赤霉素进行膨大。对于巨峰、巨玫瑰等品种,为了防止落果过多,在幼果期用25毫克/千克的赤霉素进行保果。


图片


葡萄5-6月的管理直接关系到葡萄当年的产量和品质,除了要预防肥害,还要做好新梢管理、疏花疏果、水肥管理、病害防治等工作。


相关推荐