果树发生药害可以这样补救!

作者:果树种植新技术 2024/5/21 10:11:50
(1)药害的几种类型1.药物药害。即因药物直接原因造成的伤害叫药物药害。在生产上常见的有石硫合剂、硫磺粉、五氯酚钠、代森铵及硫酸铜等。此外,还有一些农药在果树上使用时,有一些特定的要求,有的对不同的果树有着特定的敏感性。如敌百虫、敌敌畏对猕猴桃、核果类特别敏感,不能使用;马拉硫磷对桃树特别敏感,使用时应用低浓度;螨克和克螨特对梨树敏感,不可使用;稻丰散对桃、葡萄的某些品种敏感,应慎用;石硫合剂对桃


图片


(1)药害的几种类型


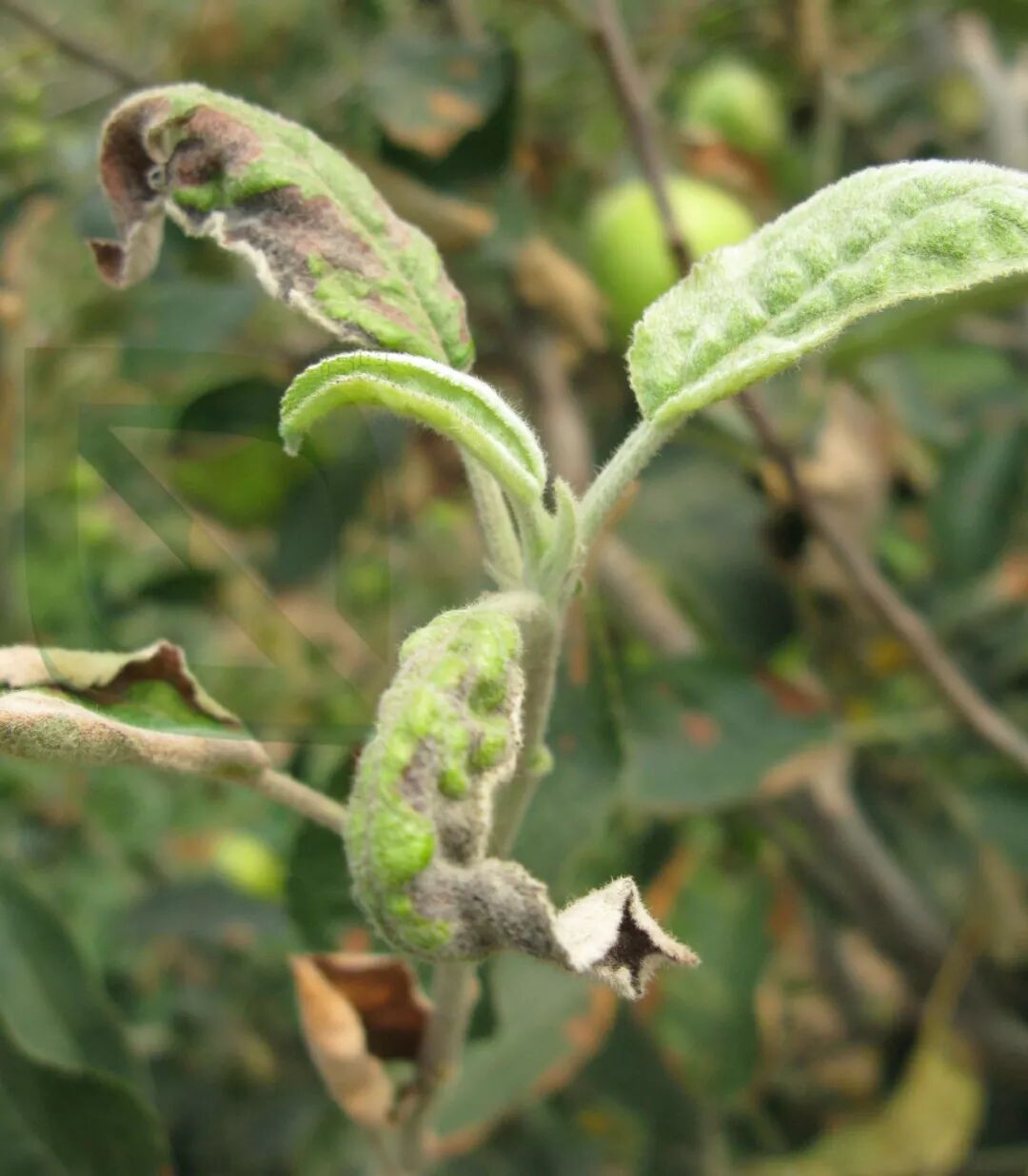
1.药物药害。即因药物直接原因造成的伤害叫药物药害。在生产上常见的有石硫合剂、硫磺粉、五氯酚钠、代森铵及硫酸铜等。此外,还有一些农药在果树上使用时,有一些特定的要求,有的对不同的果树有着特定的敏感性。如敌百虫、敌敌畏对猕猴桃、核果类特别敏感,不能使用;马拉硫磷对桃树特别敏感,使用时应用低浓度;螨克和克螨特对梨树敏感,不可使用;稻丰散对桃、葡萄的某些品种敏感,应慎用;石硫合剂对桃、李、葡萄、梨等果树幼嫩组织易发生药害,应慎用;2,4—D丁酯、二甲四氯这两种药剂对所有果树都很敏感,切勿使用等等。准确地讲,一种农药对果树病虫的防治,并不是广谱的,都有着特效、有效和无效的差别,在选用时一定要有针对性,但在生产上有的果农,常存在着超范围使用的现象,这样很容易产生常见的药物药害。


图片

图片

嘧菌酯药害

图片

苹果花期四螨嗪药害


2.生理性药害。果树生长有着不同的生理阶段,受外界的影响,有着不同程度的反应,这种反应是由药物因素而形成的,这种药害即为生理药害。产生药害的时期,主要在果树新梢生长期,幼果细胞分裂期和果实迅速膨大期,在这些生育阶段,对农药的反应均较为脆弱,很易受药物影响而造成药害。如百菌净、腈菌唑、戊唑醇、丙环唑等,在新梢期使用,均会造成果树因蜡质层尚未形成,容易受药剂刺激而木栓化,形成果锈。


图片


3.气象药害。果树在喷药期间及喷药前后,因高温高湿和降雨等原因造成的药害,即为气象药害。在果树生产上这类药害所占比率较高,尤其是在夏秋季节的高温阶段,稍有疏忽,就有造成较大面积药害的可能。


(2)果树药害的救治


1.停止施用同类农药。果园出现药害后,当确定是哪种农药带来的危害,在未完全解除药害之前,尽量减少农药的使用,尤其是不得再度使用已明确产生药害的农药品种和剂型,防止加重损失。


2.用清水立即冲洗。如果施药浓度过大造成药害,要用喷雾器装满清水,朝果树叶片反复清洗,以冲刷掉残留在叶片表面的药剂。此项措施越早越及时效果越好。

3.适量修剪。果树受到药害后,要及时适量地进行修剪,剪除枯枝,摘除枯叶,防止枯死部分蔓延或受病菌侵染而引起病害。


4.喷药中和。如药害造成叶片白化时,可用粒状的50%腐殖酸钠配成3000倍液进行叶面喷雾;或用同样方法将50%腐殖酸钠配成5000倍液进行灌溉,3~5天后叶片会逐渐转绿;如因石硫合剂产生药害,在水洗的基础上,再喷洒400~500倍的米醋溶液,可减轻药害;如因波尔多液中的硫酸铜离子产生药害,可喷0.5%~1%的石灰水溶液来消除药害;若错用或过量使用有机磷、菊酯类、氨基甲酯类等农药造成药害,可喷洒0.5%~1%的石灰水、洗衣粉液、肥皂水、洗洁净水等,尤以喷洒碳酸氢铵碱化肥溶液为佳,不仅有解毒作用,而且可以起到根外追肥促进生长发育的效果。


5.及时追肥。用植物细胞赋活剂,复硝酚钠2000倍加混0.3%尿素叶面喷雾,效果较为显著。植物生长内源激素芸苔素内酸有增加植物营养生长的作用,对果树药害亦有改善作用。增施速效肥,提高树体抗逆性能,能够缓和药害的程度。无论何种药害,叶面喷施0.3%的尿素溶液加0.2%磷酸二氢钾混合液,每隔15~17天喷1次,连喷2~3次,均可减轻药害。

相关推荐